Skip to content
View in the app

A better way to browse. Learn more.

Edgeforum

A full-screen app on your home screen with push notifications, badges and more.

To install this app on iOS and iPadOS
  1. Tap the Share icon in Safari
  2. Scroll the menu and tap Add to Home Screen.
  3. Tap Add in the top-right corner.
To install this app on Android
  1. Tap the 3-dot menu (⋮) in the top-right corner of the browser.
  2. Tap Add to Home screen or Install app.
  3. Confirm by tapping Install.

Gammel fluekasse fra Cascapedia

Featured Replies

Så er det lykkes at få fat i en gammel flueæske fyldt med gamle fluer :lol:

Kassen har tilhørt J.S. Barnes som var ejer af Lorne Cottage Camp som lå ved Grand Cascapedia.

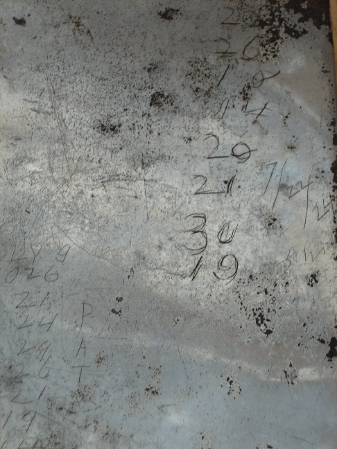
På forsiden af kassen er der graveret 1921 og på bagsiden er der ristet ind hvad Barnes og hans ven har fanget i juli 1926.

Der er flere lax på 25 pund :excl:

I kassen er der nogle gut-eyed fluer og en hel del featherwings fluer.

post-4724-024713700 1282924290_thumb.jpg

post-4724-002983500 1282924308_thumb.jpg

post-4724-045229000 1282924321_thumb.jpg

post-4724-048617200 1282924337_thumb.jpg

Så er det lykkes at få fat i en gammel flueæske fyldt med gamle fluer :lol:

Kassen har tilhørt J.S. Barnes som var ejer af Lorne Cottage Camp som lå ved Grand Cascapedia.

På forsiden af kassen er der graveret 1921 og på bagsiden er der ristet ind hvad Barnes og hans ven har fanget i juli 1926.

Der er flere lax på 25 pund :excl:

I kassen er der nogle gut-eyed fluer og en hel del featherwings fluer.

Läckert :) kul med lite fiskehistoria på grejerna.

http://www.fiskegubben.se/ http://www.scandcane.com http://www.westforkfly.se

39-årig yngling från Black Bear Village i storstan som gillar gamla fiskegrejer.

Join the conversation

You can post now and register later. If you have an account, sign in now to post with your account.

Guest
Reply to this topic...

Recently Browsing 0

  • No registered users viewing this page.

Account

Navigation

Search

Search

Configure browser push notifications

Chrome (Android)
  1. Tap the lock icon next to the address bar.
  2. Tap Permissions → Notifications.
  3. Adjust your preference.
Chrome (Desktop)
  1. Click the padlock icon in the address bar.
  2. Select Site settings.
  3. Find Notifications and adjust your preference.